



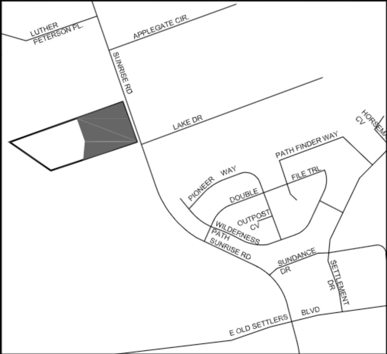
Attention developers, investors, and builders! Discover a lucrative opportunity with this 6.048-acre vacant land zoned for townhomes at 3000 Sunrise Rd. The proposed plan includes 68 two-story townhomes, each featuring a private garage and two designated parking spaces per unit. Nestled between a welcoming residential community and a modern multi-family apartment complex, with a serene church directly across the street, this location is ideal for families and professionals seeking a vibrant and convenient neighborhood. Each townhome offers contemporary living spaces, private garages, and ample parking. This shovel-ready project comes with all utilities already on site, minimizing preparation time and expediting the development process. Capitalize on the growing demand for quality housing in this prime area and take advantage of the seamless development potential this property offers. Secure this prime development site and create a thriving, modern community. All information provided is deemed reliable but is not guaranteed and should be independently verified by buyer and/or buyer's broker.
| 12 months ago | Status changed to Pending | |
| 12 months ago | Listing updated with changes from the MLS® | |
| a year ago | Price changed to $6,000,000 | |
| 2 years ago | Listing first seen on site |
Did you know? You can invite friends and family to your search. They can join your search, rate and discuss listings with you.